HomeNewsNationalHurricane Melissa Makes Landfall In Cuba, Remains 'Extremely Dangerous'

Hurricane Melissa Makes Landfall In Cuba, Remains ‘Extremely Dangerous’

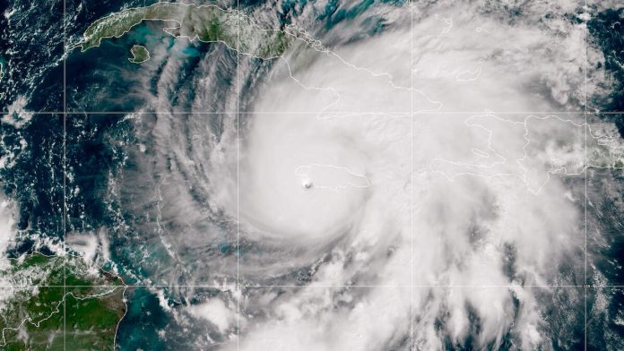
Hurricane Melissa made landfall in Cuba Wednesday (October 29) morning as an “extremely dangerous” Category 3, the National Hurricane Center in Miami confirmed via NBC News.

The storm, which had previously made landfall in Jamaica on Tuesday (October 27) as a Category 5, was reported to have sustained winds of 120 MPH while making landfall near the city of Chivirico in the Santiago de Cuba province on Wednesday. Severe flooding was reported as heavy rains and strong winds hit the province, with more than 750,000 residents had evacuated their homes across the country.

Hurricane Melissa had previously reached maximum sustained winds of 185 MPH, which tied with the Labor Day Hurricane of 1935 and Hurricane Dorian in 2019 in the Caribbean and the second-highest wind speed recorded in the Atlantic, behind only Hurricane Allen in 1980, when it made landfall in Jamaica as a Category 5 at around 1:00 p.m. ET on Tuesday. The storm was downgraded to Category 4 at 4:00 p.m. ET on Tuesday and a Category 3 early Wednesday morning.

Jamaica was reported to have “suffered major impact” after the hurricane made landfall, with at least two or three hospitals suffering severe damage and housing expected to be “severely impacted” in the storm’s path, Prime Minister Andrew Holness said via NBC News. Emergency services in Jamaica began clearing debris and assessing damage as of Wednesday morning.

Eyekon Radio
Eyekon Radiohttp://eyekonradio.com
Southern California's hit radio from the streets. Playing local and mainstream music from yesterday, today, and tomorrow. We also have the best local talk radio and podcast shows!

Most Popular

Recent Comments