HomeNewsNationalWind Gust From Hurricane Melissa Hit Record-Breaking 252 MPH

Wind Gust From Hurricane Melissa Hit Record-Breaking 252 MPH

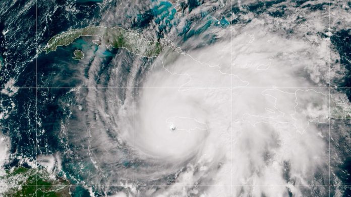
Hurricane Melissa’s wind gusts reached a record-breaking 252 mph as it approached the Caribbean last month. This measurement, confirmed by the U.S. National Science Foundation National Center for Atmospheric Research (NSF NCAR), marks the highest wind speed ever recorded by dropsondes, which are instruments used to gather data inside hurricanes.

The data was collected by a NOAA Hurricane Hunter aircraft, which dropped a series of dropsondes into the storm. These devices, equipped with small parachutes, captured detailed readings on pressure, temperature, humidity, and wind speed. Just before one dropsonde hit the ocean, it recorded the unprecedented wind gust, surpassing the previous record of 248 mph set by Typhoon Megi in 2010.

Holger Vömel, a senior scientist with NSF NCAR, explained that the data underwent rigorous quality checks to ensure its accuracy. The dropsonde’s readings were consistent with the physical laws and typical hurricane behavior, confirming the record-breaking gust.

Hurricane Melissa, a Category 5 storm, caused significant damage in the Caribbean, particularly in Jamaica, Haiti, and the Dominican Republic, resulting in nearly 100 fatalities.

Eyekon Radio
Eyekon Radiohttp://eyekonradio.com
Southern California's hit radio from the streets. Playing local and mainstream music from yesterday, today, and tomorrow. We also have the best local talk radio and podcast shows!

Most Popular

Recent Comments