HomeNewsNationalHurricane Melissa Downgrades, Remains Powerful Amid 'Major Impact'

Hurricane Melissa Downgrades, Remains Powerful Amid ‘Major Impact’

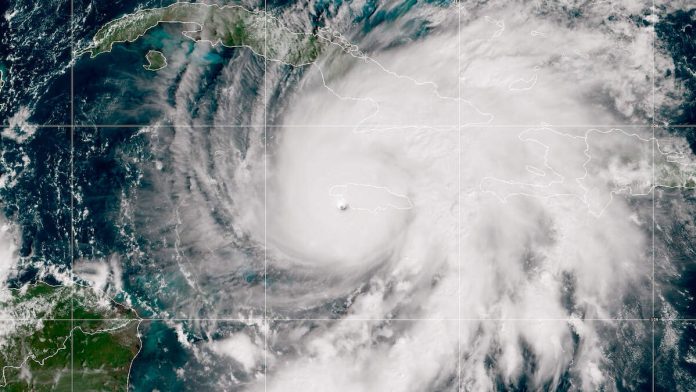
Hurricane Melissa has downgraded to a Category 4 after making landfall in Jamaica, already resulting in “major impact” as the most powerful storm of the 2025 Atlantic hurricane season Tuesday (October 28) afternoon, NBC News reports.

The storm had previously reached maximum sustained winds of 185 MPH, which tied with the Labor Day Hurricane of 1935 and Hurricane Dorian in 2019 in the Caribbean and the second-highest wind speed recorded in the Atlantic, behind only Hurricane Allen in 1980, when it made landfall as a Category 5 at around 1:00 p.m. ET. Melissa was downgraded to Category 4 at 4:00 p.m. ET, but remains life-threatening according to forecasters.

“This is an extremely dangerous and life-threatening situation!” the National Hurricane Center said in a bulletin. “Do not leave your shelter as the eye passes over, as winds will quickly, and rapidly increase on the other side of the eye. Residents should remain in place through the passage of these life-threatening conditions.”

Jamaica was already reported to have “suffered major impact” after the hurricane made landfall, with at least two or three hospitals suffering severe damage and housing expected to be “severely impacted” in the storm’s path, Prime Minister Andrew Holness said via NBC News.

“So far, we have not had confirmed reports of any deaths, but again, it’s too soon to say that there are not any deaths,” Holness said.

Eyekon Radio
Eyekon Radiohttp://eyekonradio.com
Southern California's hit radio from the streets. Playing local and mainstream music from yesterday, today, and tomorrow. We also have the best local talk radio and podcast shows!

Most Popular

Recent Comments